Track Hurricanes With NOAA Satellite Technology

S.Onlinenic 131 views
Track Hurricanes With NOAA Satellite Technology

Track Hurricanes with NOAA Satellite Technology

Hey guys! Ever wondered how we keep tabs on those massive swirling storms that we call hurricanes? Well, a big part of the answer lies with the NOAA satellite hurricane tracker . These technological marvels are constantly orbiting our planet, sending back crucial data that helps meteorologists predict a hurricane’s path, intensity, and potential impact. In this article, we’re going to dive deep into the world of NOAA satellites, exploring how they work and why they’re so vital for protecting lives and property. Get ready for a cool journey into the science behind hurricane tracking!

Understanding NOAA Satellites: The Eyes in the Sky

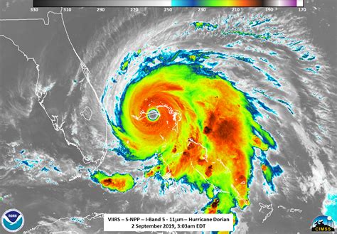
Alright, so what exactly is a NOAA satellite? NOAA stands for the National Oceanic and Atmospheric Administration, and they’re the folks behind a fleet of satellites specifically designed to monitor our planet’s weather and climate. Think of them as high-tech eyes constantly watching over us from space. These satellites are packed with sophisticated instruments that collect a huge amount of data. They measure things like temperature, humidity, wind speed, and, of course, the formation and movement of hurricanes. There are two main types of NOAA satellites that play a key role in hurricane tracking: Geostationary Operational Environmental Satellites (GOES) and Polar-orbiting Operational Environmental Satellites (POES). GOES satellites hang out in a fixed position above the Earth, providing continuous views of specific regions, which is super helpful for tracking real-time hurricane development. POES satellites, on the other hand, orbit the Earth from pole to pole, giving a global perspective and providing detailed data on atmospheric conditions. The data from both types of satellites are combined to create a comprehensive picture of a hurricane, allowing meteorologists to make more accurate forecasts. These satellites use a variety of sensors, including radiometers, which measure the infrared and visible light emitted by the Earth and its atmosphere. This helps them determine cloud cover, sea surface temperatures, and other important factors related to hurricane formation and behavior. They also have instruments that measure the amount of water vapor in the atmosphere, which is a key ingredient for hurricanes. Data collected by NOAA satellites is available to the public and is used by weather forecasting agencies all over the world. This is a crucial element for ensuring that everyone has access to the most up-to-date information, and can prepare for potential impacts. The data is also fed into sophisticated computer models that help predict the future path and intensity of the hurricanes. Without these satellites, our ability to monitor and predict hurricanes would be significantly limited, and we would be much less prepared to deal with these dangerous storms. So, the next time you hear a hurricane warning, remember the amazing technology that is working to keep you safe!

Geostationary and Polar-orbiting Satellites: A Dynamic Duo

Let’s get a bit more specific, shall we? As mentioned earlier, the GOES and POES satellites are like the dynamic duo of hurricane tracking. GOES satellites, positioned in geostationary orbit (meaning they stay above the same spot on Earth), provide a constant watch over specific regions. Imagine having a camera that never stops filming! This is incredibly useful for monitoring the real-time development and movement of hurricanes. Meteorologists can see how a storm is evolving, tracking its eye, and observing changes in its cloud structure. This constant monitoring is crucial for issuing timely warnings. POES satellites, on the other hand, orbit the Earth from pole to pole. They pass over every part of the globe, providing a global view of weather patterns. They carry instruments that provide very detailed data on atmospheric conditions, such as temperature and humidity profiles. POES satellites are like the scientists of the satellite team. They collect data that helps meteorologists understand the overall environment in which a hurricane is developing. The combination of data from GOES and POES satellites gives meteorologists a comprehensive understanding of a hurricane’s life cycle. They can observe the big picture (POES) and the fine details (GOES) simultaneously. This is what allows them to generate accurate forecasts and issue timely warnings, so folks are able to prepare. The interplay between these two types of satellites is essential for effective hurricane tracking. It’s like having two different perspectives on the same event, providing a more complete and accurate picture. The data from both types of satellites is used in advanced computer models that can predict the path and intensity of hurricanes with increasing accuracy. These models are constantly being refined with the help of new satellite data and advances in scientific understanding. So, the next time you hear a hurricane forecast, know that it’s the result of incredible teamwork between these awesome satellites.

How NOAA Satellites Track Hurricanes: A Deep Dive

So, how exactly does a NOAA satellite track a hurricane? It’s not magic, but it’s pretty darn cool technology. The process begins with the satellites using their onboard sensors to collect data on various atmospheric conditions. The primary tools used are radiometers and sounders. Radiometers measure the amount of energy emitted or reflected by the Earth’s surface and atmosphere. This helps to determine sea surface temperatures, cloud cover, and the presence of water vapor. Sounders measure the vertical profiles of temperature and humidity in the atmosphere. They’re like taking a cross-section of the atmosphere to understand its structure. These data are combined to create a detailed picture of the hurricane’s environment. The satellites also track the movement of the hurricane’s eye, which is the calm center of the storm. By repeatedly imaging the hurricane, the satellites can track its path and speed. The data is transmitted back to Earth, where it’s processed and analyzed by meteorologists. This allows them to monitor the hurricane’s development in real-time . The data is used to feed advanced computer models, which simulate the hurricane’s behavior and predict its future path and intensity. These models take into account various factors, such as wind speed, air pressure, and sea surface temperatures. The information from the satellites is integrated with data from other sources, such as weather buoys and aircraft reconnaissance, to create a comprehensive picture of the hurricane. This holistic approach ensures the accuracy of the forecasts. It’s important to understand that tracking a hurricane is not just about watching its location. It’s about understanding its structure, intensity, and the environment that supports it. This is where NOAA satellites really shine, providing a detailed picture that can help us prepare for the storm’s impact. The information collected by the satellites is also crucial for issuing timely warnings, so that people can evacuate or take other precautions. The data is available to the public and is used by various agencies, organizations, and individuals, all working together to protect lives and property. So, the next time you hear a hurricane warning, you’ll know that it is a result of this amazing technology!

Sensors and Instruments: The Technological Toolkit

These satellites are equipped with some serious tech! Let’s explore the key sensors and instruments that they use to gather data about hurricanes. As mentioned earlier, radiometers are key. They measure the energy emitted or reflected by the Earth and atmosphere. They measure things like infrared radiation to determine sea surface temperatures, which is a major factor in hurricane formation and intensity. They also measure visible light to monitor cloud cover and the overall structure of the storm. Sounders are another important tool. They measure the vertical profiles of temperature, humidity, and other atmospheric variables. By analyzing how these variables change with altitude, sounders provide valuable information about the storm’s structure. Other instruments measure things like wind speed and direction, which is super helpful for predicting the hurricane’s path. Some satellites also have instruments that can measure the amount of rainfall, which is essential for determining the storm’s potential for flooding. The data from these various instruments is combined to create a comprehensive picture of the hurricane and its environment. This allows meteorologists to make accurate forecasts and issue timely warnings. Data from the satellites is also integrated with other sources, such as weather buoys and aircraft reconnaissance, to create a complete picture of the storm. This comprehensive approach is essential for ensuring the accuracy of the forecasts. The technology used in NOAA satellites is constantly evolving. New instruments and sensors are being developed to provide even more detailed and accurate data about hurricanes and other weather events. This progress is enabling scientists to make better predictions and help keep everyone safe. Without these amazing instruments, our ability to monitor and predict hurricanes would be seriously limited. So, the next time you hear a hurricane forecast, appreciate the technology behind the scenes!

The Impact of NOAA Satellite Data on Hurricane Forecasting

So, what’s the bottom line? How does all this satellite data actually impact hurricane forecasting? It’s a game-changer, folks! The data collected by NOAA satellites provides meteorologists with the information they need to accurately predict a hurricane’s path, intensity, and potential impact. This ability has drastically improved in recent years, thanks to advances in satellite technology. Accurate forecasting allows for more effective warnings, which gives people time to prepare for the storm. This can save lives and reduce property damage. The data also helps meteorologists understand the behavior of hurricanes, which can help them to refine their models and improve their forecasts. The information collected is also crucial for emergency management. It helps them to plan for evacuations, allocate resources, and coordinate rescue efforts. The availability of real-time satellite data allows for continuous monitoring of hurricanes, allowing forecasters to quickly adjust their forecasts as the storm evolves. Data is also used to study climate change and its impact on hurricanes. By analyzing the long-term trends in satellite data, scientists can gain a better understanding of how the frequency and intensity of hurricanes are changing. The impact of NOAA satellite data on hurricane forecasting cannot be overstated. It has revolutionized the way we monitor and predict these dangerous storms. The data helps save lives, protects property, and allows us to better understand the role of climate change in hurricanes. It’s a critical tool for protecting communities. The next time a hurricane threatens, know that this technology is working hard to keep you safe!

Improving Accuracy and Saving Lives

Let’s talk about some specific ways that NOAA satellite data has improved hurricane forecasting and, importantly, saved lives. The data allows meteorologists to accurately track the hurricane’s path, which is crucial for issuing timely warnings. By knowing where a hurricane is headed, people can evacuate or take other precautions to stay safe. Satellite data helps in accurately predicting the hurricane’s intensity, which can range from a weak tropical storm to a devastating category 5 hurricane. Understanding the intensity is essential for determining the potential for damage and making appropriate preparations. The data provides information on the hurricane’s structure, including the size of the storm, the location of the eye, and the distribution of rainfall. This information is critical for understanding the storm’s potential for flooding. The satellites also provide valuable information about the storm’s environment, including sea surface temperatures and atmospheric conditions. This information is key for predicting the storm’s evolution and its potential to strengthen or weaken. The improved accuracy of hurricane forecasts has directly contributed to a decrease in the number of deaths and injuries from these storms. Timely and accurate warnings allow people to evacuate or take shelter, avoiding the worst effects of the storm. The data also helps emergency managers to better prepare for the storm, allocating resources and coordinating rescue efforts. This has resulted in a significant reduction in property damage and economic losses. NOAA satellite data is not just about numbers and models; it is about people’s lives. It is an investment in our safety and well-being. The advancements in satellite technology have truly revolutionized hurricane forecasting, creating a safer environment for all of us. The next time you see a hurricane warning, remember the amazing technology that is working to protect you and your community.

Future of NOAA Satellite Technology in Hurricane Tracking

What does the future hold for NOAA satellite technology in hurricane tracking? Exciting things, my friends! We can expect even more advanced satellites with even more sophisticated sensors and instruments. This will allow for even more detailed and accurate data collection. Scientists are working on new technologies to improve hurricane forecasting, including advanced computer models and artificial intelligence. This will help to analyze the massive amounts of data collected by the satellites and make more accurate predictions. Improvements are expected in the accuracy of hurricane forecasts, which will enable even better warnings and preparation efforts. There will be improved capabilities in monitoring and tracking hurricanes, allowing for even faster and more accurate assessments of the storm’s intensity and path. We can anticipate advancements in our understanding of climate change and its impact on hurricanes, allowing scientists to better predict the future of these storms. The increased use of satellite data in emergency management will result in better preparedness and response efforts. The future of NOAA satellite technology is bright. It promises to further enhance our ability to monitor, predict, and respond to hurricanes. There is an ongoing commitment to innovation and progress in the field, which will lead to a safer and more prepared future. The collaboration between scientists, engineers, and forecasters will continue to drive innovation. They are all working together to make sure that we have the best possible tools to understand and prepare for hurricanes. As technology continues to evolve, the impact of NOAA satellites on hurricane tracking will only increase. This will ensure that our communities are even better prepared for the challenges posed by these devastating storms. It’s an exciting time to watch this area of science, knowing that it directly contributes to protecting us from harm.

Advancements and Innovations on the Horizon

The future is looking bright! Here’s a glimpse at some of the advancements and innovations that are on the horizon for NOAA satellite technology in hurricane tracking. We can expect improved sensors and instruments that will be able to collect even more detailed data about hurricanes. These new technologies will provide a better understanding of the storm’s structure, intensity, and environment. Computer models will be further enhanced, leveraging AI and machine learning to analyze the vast amounts of data collected by the satellites and make more accurate predictions. This will enable meteorologists to make better forecasts and issue more timely warnings. The development of new data assimilation techniques will allow scientists to integrate data from various sources. This includes satellites, weather buoys, and aircraft reconnaissance, creating a more comprehensive picture of the storm. There will be expanded use of satellite data to study climate change. This allows scientists to gain a better understanding of how the frequency and intensity of hurricanes are changing and how to best prepare for their impact. More effective communication and dissemination of information will ensure that the public receives timely and accurate warnings. This will help people prepare for the storm and minimize its impact. The constant improvement in satellite technology will allow for better hurricane tracking and forecasting. The goal is to save lives and protect property. It is an exciting time to be involved in the field of hurricane tracking. These advancements will make the communities safer and more prepared for the challenges. The future of NOAA satellite technology is filled with innovation, progress, and a commitment to protecting all of us from the power of hurricanes. So, buckle up! The future looks bright for hurricane tracking.