Hurricane Live Tracking: Real-Time Satellite Updates

S.Onlinenic 71 views
Hurricane Live Tracking: Real-Time Satellite Updates

Hurricane Live Tracking: Real-Time Satellite Updates

Understanding hurricane tracking is crucial, guys, especially if you live in an area prone to these powerful storms. With the advancements in technology, we now have access to real-time data and satellite imagery that can help us monitor and prepare for hurricanes. This article will dive into the world of hurricane live tracking using satellite technology, explaining how it works, why it’s important, and how you can stay informed.

The Power of Satellite Technology in Hurricane Tracking

Satellite technology has revolutionized weather forecasting, particularly in the realm of hurricane tracking. Before satellites, meteorologists relied on weather stations, ships, and aircraft to gather data. These methods were limited in scope and often couldn’t provide a comprehensive view of a developing storm. Today, satellites equipped with advanced sensors orbit the Earth, constantly monitoring atmospheric conditions and providing a wealth of information.

One of the primary advantages of using satellites is their ability to observe vast areas of the ocean where hurricanes form. These remote regions are oftenData buoys and research vessels often cannot provide sufficient information to accurately predict a hurricane’s path. Satellites fill this gap by offering continuous, wide-ranging coverage. These geostationary satellites remain in a fixed position relative to the Earth’s surface, allowing for continuous monitoring of the same area. This is particularly useful for tracking the development and movement of hurricanes over time. Polar-orbiting satellites, on the other hand, pass over different parts of the Earth with each orbit, providing more detailed data but with less frequent coverage of a specific location.

The data collected by satellites includes sea surface temperatures, wind speeds, humidity levels, and cloud cover. This information is essential for predicting the intensity and track of a hurricane. For instance, warm sea surface temperatures are a key ingredient for hurricane development, as they provide the energy needed for the storm to intensify. Wind speeds at different altitudes help meteorologists understand the storm’s structure and potential for strengthening. Humidity levels indicate the amount of moisture available to fuel the storm.

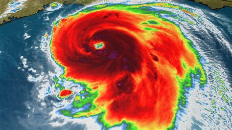
Moreover, satellite imagery provides a visual representation of the storm’s structure, allowing meteorologists to identify key features such as the eye, eyewall, and rainbands. The eye is the calm center of the hurricane, while the eyewall is the ring of intense thunderstorms surrounding the eye. Rainbands are spiral bands of thunderstorms that extend outward from the eyewall. By analyzing these features, meteorologists can assess the storm’s intensity and predict its future behavior. Real-time satellite data is readily available to the public through various online platforms, news outlets, and weather apps. This accessibility allows individuals to stay informed and take necessary precautions to protect themselves and their property.

How Hurricane Tracking Satellites Work

Let’s break down how these amazing hurricane tracking satellites actually work. At the heart of it all, it’s about gathering and interpreting data from space to give us a heads-up about these powerful storms. These satellites use a range of sophisticated sensors and technologies to monitor different aspects of weather systems.

One of the key instruments on these satellites is the radiometer . Radiometers measure the electromagnetic radiation emitted by the Earth and its atmosphere. By analyzing the wavelengths and intensity of this radiation, scientists can determine various atmospheric properties, such as temperature, humidity, and cloud cover. Different types of radiometers are used to measure different parts of the electromagnetic spectrum. For example, infrared radiometers measure the thermal radiation emitted by the Earth, which is used to determine the temperature of the land and ocean surfaces. Microwave radiometers, on the other hand, can penetrate clouds and provide information about the atmosphere even in cloudy conditions.

Satellite data is transmitted to ground stations, where it is processed and analyzed by meteorologists. Sophisticated computer models use this data to predict the future track and intensity of the hurricane. These models take into account a variety of factors, including the storm’s current position, speed, and intensity, as well as the surrounding atmospheric conditions. The models are constantly refined and improved as new data becomes available. This ensures more accurate predictions.

Another critical tool is the scatterometer , which measures wind speed and direction over the ocean surface. Scatterometers emit microwave pulses and measure the amount of energy that is reflected back to the satellite. By analyzing the characteristics of the reflected signal, scientists can determine the wind speed and direction. This information is particularly important for hurricane tracking because it provides insight into the storm’s intensity and potential for intensification. High wind speeds indicate a strong storm, while changes in wind direction can indicate a change in the storm’s track. By combining data from radiometers and scatterometers, meteorologists can create a comprehensive picture of the hurricane’s structure and behavior.

In addition to these instruments, some satellites also carry cameras that capture visible images of the Earth. These images provide a visual representation of the storm’s structure and can be used to identify key features such as the eye, eyewall, and rainbands. Visible satellite images are particularly useful for communicating information to the public, as they provide a clear and easily understandable view of the storm. The satellite images are enhanced with color to highlight specific features, such as cloud cover and precipitation.

Why Real-Time Hurricane Tracking is Important

Real-time hurricane tracking isn’t just a cool tech demo, it’s a matter of safety and preparation. The ability to monitor hurricanes as they develop and move is crucial for several reasons, all boiling down to protecting lives and property.

Firstly, accurate tracking allows for timely and effective evacuation orders. When authorities have reliable information about a hurricane’s predicted path and intensity, they can issue evacuation orders for areas that are likely to be affected. This gives residents enough time to leave their homes and seek shelter in safer locations. Without real-time tracking, evacuation orders would be based on less accurate information, potentially leading to unnecessary evacuations or, even worse, failing to evacuate people in harm’s way. Evacuating large populations requires significant resources and coordination, so it’s essential to have accurate information to make informed decisions.

Secondly, real-time tracking helps emergency responders prepare for the storm’s impact. By knowing where and when a hurricane is likely to make landfall, emergency responders can stage resources and personnel in advance. This includes deploying search and rescue teams, stocking up on essential supplies, and preparing shelters for displaced residents. This rapid and coordinated response can save lives and minimize the impact of the storm. Emergency management agencies use real-time tracking data to develop evacuation plans, coordinate resource allocation, and communicate with the public.

Thirdly, real-time data enables individuals and communities to take proactive steps to protect their property. Homeowners can secure their homes by boarding up windows, reinforcing doors, and moving valuable items to higher ground. Businesses can implement their disaster preparedness plans, which may include shutting down operations, securing equipment, and relocating employees. Communities can organize sandbagging efforts, clear drainage systems, and identify safe havens for residents who are unable to evacuate. These proactive measures can significantly reduce the damage caused by a hurricane.

Staying Informed: Accessing Live Hurricane Tracking Data

So, how can you, the average person, access this live hurricane tracking data and stay informed? Luckily, there are numerous resources available to keep you updated.

One of the primary sources of information is the National Hurricane Center (NHC) . The NHC is a division of the National Weather Service and is responsible for forecasting and tracking hurricanes in the Atlantic and Eastern Pacific basins. The NHC website provides a wealth of information, including: hurricane advisories, forecast maps, satellite images, and discussions of the storm’s current status and future outlook. The NHC also issues watches and warnings for coastal areas that are threatened by hurricanes. Watches indicate that hurricane conditions are possible within the specified area, while warnings indicate that hurricane conditions are expected. The NHC website is updated regularly with the latest information, so it’s a good idea to check it frequently during hurricane season.

Many weather apps and websites also provide real-time hurricane tracking information. These apps often use data from the NHC and other sources to provide a user-friendly interface for monitoring hurricanes. They also may offer additional features, such as radar imagery, severe weather alerts, and customizable notifications. Some popular weather apps include The Weather Channel, AccuWeather, and Weather Underground. It’s important to choose a reputable weather app that provides accurate and reliable information.

Local news outlets are another valuable source of information. Local television and radio stations often provide live coverage of hurricanes, including updates on the storm’s track, intensity, and potential impact on the community. Local newspapers and websites also offer comprehensive coverage of hurricanes, including articles, maps, and videos. Many local news outlets have meteorologists who provide expert analysis and forecasts. It’s important to stay tuned to your local news outlets during hurricane season so you can stay informed about the latest developments. Many local news outlets also have social media accounts that they use to share updates and information about hurricanes.

In conclusion, live hurricane tracking using satellite technology is an invaluable tool for predicting and preparing for these destructive storms. By understanding how satellites work and accessing the available resources, you can stay informed and take the necessary steps to protect yourself and your community. Stay safe out there, and keep an eye on the skies!