Hurricane Beryl: Satellite Views & Tracking Explained

S.Onlinenic 61 views
Hurricane Beryl: Satellite Views & Tracking Explained

Hurricane Beryl: Satellite Views & Tracking Explained

Hey everyone! Ever wondered what it’s like to track a hurricane like Beryl from space? Well, buckle up, because we’re diving deep into hurricane Beryl satellite views , how meteorologists use them, and why they’re so incredibly important. We’ll be breaking down how these views help us understand the storm’s intensity, predict its path, and ultimately, save lives. So, grab your favorite drink, and let’s get started!

Unveiling Hurricane Beryl: The Basics

Before we jump into the satellite views, let’s get a quick refresher on Hurricane Beryl itself. Beryl was a tropical cyclone that formed in the Atlantic Ocean. Like all hurricanes, it was a powerful rotating storm characterized by strong winds, heavy rainfall, and the potential for significant damage. Hurricanes are categorized based on their wind speeds, ranging from tropical depressions to major hurricanes. Tracking these storms is crucial, and that’s where satellite imagery becomes an indispensable tool. Satellites act as our eyes in the sky, providing continuous monitoring of these potentially devastating weather systems. They allow us to see the entire storm system, regardless of its location or time of day, offering a comprehensive view that ground-based observations alone cannot provide. With this information, experts can better predict the storm’s intensity and its projected trajectory.

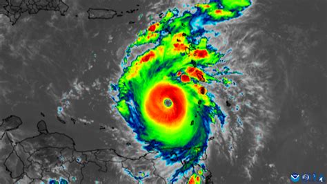
The Power of Satellite Imagery

The beauty of satellite views lies in their ability to capture a holistic picture of the hurricane. They’re not just snapshots; they provide dynamic data, constantly updating our understanding of the storm. These images help meteorologists identify key features like the eye of the hurricane, the eyewall, and the rain bands. The eye, often a relatively calm area, is surrounded by the eyewall, where the most intense winds and rainfall occur. Rain bands spiral outwards from the center, delivering showers and thunderstorms across a wide area. Satellite imagery also provides critical information on cloud-top temperatures, which can indicate the storm’s intensity. Colder cloud tops often signal stronger thunderstorms and a more powerful hurricane. The data collected from these satellites feeds directly into weather models, which use complex algorithms to forecast the hurricane’s path and intensity. This is where the magic happens, allowing us to get a glimpse of what’s to come, so we can prepare accordingly. It’s like having a crystal ball, but instead of predicting the future, it gives us a good chance to outsmart the storm before it strikes.

Types of Satellite Data

There’s more than one type of satellite data that meteorologists use. Each type offers a unique perspective on the hurricane:

  • Visible Imagery: This is what you’d see if you were looking at the storm with your own eyes from space. It’s great for identifying cloud patterns, the eye of the storm, and the overall shape of the hurricane. However, it’s only useful during daylight hours.
  • Infrared Imagery: Infrared imagery measures the heat emitted by the clouds. Colder clouds (the ones at higher altitudes) appear brighter, providing a good indication of the storm’s intensity, even at night.
  • Water Vapor Imagery: This type of imagery helps track the movement of moisture in the atmosphere, which is crucial for understanding the storm’s dynamics and predicting its development.
  • Microwave Imagery: Microwave sensors can penetrate through clouds, giving us a look at the storm’s structure even when it’s heavily obscured. This is especially helpful for determining the location of the eyewall and the distribution of rainfall.

Decoding Satellite Views: What to Look For

So, how do you read a hurricane Beryl satellite view ? Let’s break it down! When you look at satellite images, there are a few key features to focus on:

  • The Eye: This is the center of the hurricane, often a relatively clear area surrounded by the eyewall. Its size and shape can indicate the storm’s intensity. A well-defined, circular eye often suggests a stronger hurricane.
  • The Eyewall: This is the ring of thunderstorms that surrounds the eye, where the strongest winds and heaviest rainfall occur. Look for a dense, circular band of clouds.
  • Rain Bands: These are the spiral bands of thunderstorms that extend outwards from the center of the hurricane. They bring rain, wind, and the potential for tornadoes.
  • Cloud Top Temperatures: Colder cloud tops indicate more intense thunderstorms and a stronger hurricane. In infrared images, these areas will appear brighter.

By observing these features, meteorologists can assess the hurricane’s strength, track its movement, and predict its future behavior. It’s like putting together a puzzle, with each piece of satellite data providing valuable insights. Remember, the more information we have, the better we can prepare for the storm. It’s like having a superpower that lets us see into the future – not the whole picture, but enough to make informed decisions.

Tools of the Trade: Satellites and Instruments

Several satellites and instruments are used to provide the data that we see in hurricane Beryl satellite views . Here are some of the key players:

  • GOES (Geostationary Operational Environmental Satellite): These satellites are positioned in a fixed orbit above the Earth, providing continuous monitoring of the Western Hemisphere. They provide visible, infrared, and water vapor imagery.
  • POES (Polar Operational Environmental Satellites): These satellites orbit the Earth from pole to pole, providing more detailed images and measurements of the atmosphere.
  • Microwave Sounders: Instruments like the Advanced Microwave Sounding Unit (AMSU) provide data on atmospheric temperature and moisture, even through clouds.
  • Scatterometers: These instruments measure wind speed and direction over the ocean’s surface, which is critical for understanding the hurricane’s intensity and structure.

These are just a few examples, and the technology is constantly evolving. As technology advances, we can expect even more detailed and accurate hurricane forecasts in the future.

Predicting the Path: How Satellite Data Helps

One of the most crucial uses of satellite data is predicting the path of the hurricane. Meteorologists use this data to feed into sophisticated computer models that simulate the storm’s behavior. These models take into account various factors, including the storm’s current location, wind patterns, atmospheric pressure, and ocean temperatures. They then predict the hurricane’s future track and intensity, providing valuable information for emergency responders, government agencies, and the public. These predictions are not perfect, and the accuracy of the forecast decreases over time. However, they are constantly improving as technology and our understanding of hurricanes evolve. Forecast models provide a range of possible scenarios, allowing people to prepare for different outcomes. It’s like creating multiple plans based on the different paths the storm could take, so you can be ready for anything.

Accuracy and Limitations of Satellite Data

While satellite data is incredibly useful, it’s essential to understand its limitations. Satellites can’t see through all clouds, and the data they provide can sometimes be incomplete. Also, satellite data is just one piece of the puzzle. Meteorologists also use data from other sources, such as weather balloons, surface observations, and aircraft reconnaissance, to create their forecasts. The accuracy of hurricane forecasts has improved dramatically in recent decades, thanks to advances in satellite technology and computer modeling. However, predicting the exact path and intensity of a hurricane is still a complex challenge. Forecasts are most accurate in the short term, with uncertainty increasing the further out you go. It’s like a detective trying to solve a case, using all the clues to make the most informed guess, with the understanding that there’s still some uncertainty involved.

The Human Factor: Meteorology and Hurricane Forecasting

Behind every hurricane Beryl satellite view and forecast is a team of dedicated meteorologists. They analyze the data, interpret the images, and use their knowledge and experience to create the forecasts we rely on. They’re the real heroes, working tirelessly to keep us safe. Meteorology is a complex field, combining science, technology, and a deep understanding of the atmosphere. Meteorologists use a variety of tools, including satellite data, computer models, and weather observations, to understand and predict weather patterns. They constantly monitor and update their forecasts as new data becomes available. It’s a challenging but rewarding job, requiring expertise, precision, and a commitment to public safety. They are the people who help us understand the storm and make the right choices for our safety. It’s not just about looking at the data; it’s about understanding the story the data is telling.

Role of the National Hurricane Center

The National Hurricane Center (NHC) plays a crucial role in hurricane forecasting. The NHC, part of the National Weather Service, is responsible for monitoring tropical cyclones in the Atlantic and Eastern Pacific Oceans. They issue watches and warnings, provide forecasts, and disseminate information to the public. They work closely with other government agencies, emergency managers, and the media to ensure that everyone has the information they need to prepare for a hurricane. They are the official source of information for hurricane forecasts, and their expertise is invaluable in helping us stay informed and safe. They provide all of the information, warnings, and alerts you need to make the right choices to protect yourself, your family, and your property.

Conclusion: The Importance of Satellite Views

So, there you have it, folks! Hurricane Beryl satellite views are essential tools for understanding, tracking, and predicting hurricanes. They give us a unique perspective on these powerful storms, enabling us to prepare for their impact and save lives. From the detailed images to the sophisticated computer models, satellite data is transforming how we approach hurricane forecasting. It’s a testament to human ingenuity and our ongoing efforts to understand and protect ourselves from the forces of nature. So, next time you see a satellite image of a hurricane, remember the incredible technology and dedicated people working behind the scenes to keep us safe. Stay informed, stay prepared, and let’s all do our part to weather the storm!

I hope you enjoyed this deep dive into satellite views of Hurricane Beryl! If you have any questions or want to learn more, feel free to ask. Stay safe out there!